
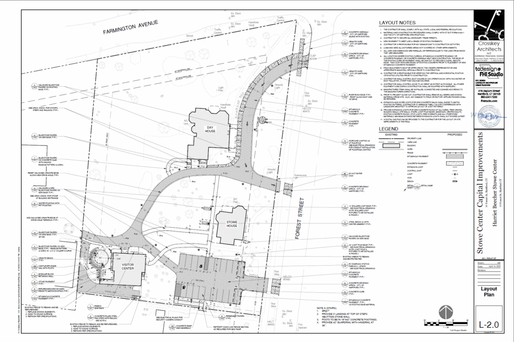
Site Plan as of April 2023
Having completed the $3.3 million dollar restoration of the interior of the National Historic Landmark 1871 Harriet Beecher Stowe House in 2018, we are now directing our attention to the restoration of the other two historic buildings on our campus: the 1884 Katharine Seymour Day House and 1873 Visitor Center (and former Carriage House); as well as significant upgrades to the landscape. We will be restoring the exterior of each building―including slate and cedar shingle roofing, masonry, extensive wood trim around windows, porches, and balconies, windows, and painting, adding ADA compliant entryways and restrooms, and updating and expanding HVAC and security systems. The inside of the Visitor Center will also be refreshed and the wooden flooring in the Day House will be refinished. Existing asphalt driveways and the parking lot will be expanded and resurfaced. In addition, and together with the Mark Twain House and Museum, we will be creating a shared urban greenspace that will offer area residents a place to gather and learn about their historic Nook Farm neighborhood. This unified landscape will include pathways and seating, an outdoor classroom adjacent to the Visitor Center, lighting, wayfinding and interpretive signage, gardens, and public art.

View from Farmington Avenue
The State of Connecticut has been extremely supportive awarding the Stowe Center three Urban Act grants, totaling $2.6 million, the most recent of which was finalized just last week. In 2020, the National Endowment of the Humanities awarded the museum $385,000 through its infrastructure and capacity building challenge grants program. We have also raised another $50,000 from individuals and through a family trust and we are awaiting word on several outstanding grants. We continue to fundraise for this important project and welcome your financial support.
The planning for this project has taken many years and actually began as far back as 2003 when the Stowe Center created a Master Plan for Internal Environmental Improvements. The Master Plan was a result of collaborative workshops of staff and consulting team and designed to establish a clear vision for the future use of existing spaces in all three of the Stowe Center’s buildings – the Stowe House, the Day House (which also includes a special vault for paper-based archives collections), and the Visitor Center. While the Stowe House is the focus of site interpretation, the other two buildings serve vital but supporting roles for collection storage, administration, research, programs, education, and visitor/staff amenities. Fast forward to 2019, when the Stowe Center team was able to focus its fundraising efforts on this current ADA, Site and Structural Improvement project involving the Day House, Visitor Center, and surrounding 2.5-acre landscape.

View from Visitor Center
The pandemic delayed the start of the project for a couple years but with the pandemic finally behind us, our architect and landscape architects at Crosskey Architects LLC and todesign@FHI Studio, both of Hartford, have completed their drawings and specifications and the State Office of Historic Preservation has reviewed and approved these plans. Our construction managers from Bartlett Brainard Eacott Inc. of Bloomfield are now preparing bid packages that will be reviewed by the State in the coming weeks before the work will be advertised. Interested contractors will then visit the site for a walkthrough before sending us their quotes for review. We anticipate that construction will begin this summer, starting on the Visitor Center, then the Day House, and finally the landscape. Site improvement are expected to continue into the Summer of 2024.

Cindy Cormier, Consulting Project Manager